Marcus (M) Hôpital du refuge de la FBM

Puce : 941000030578683

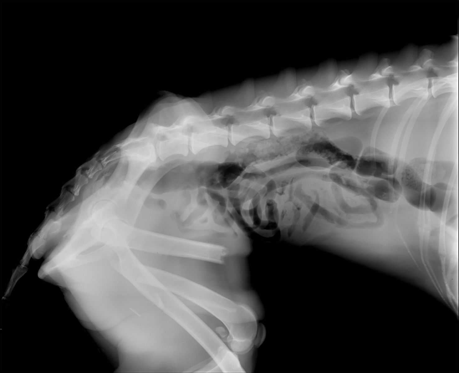
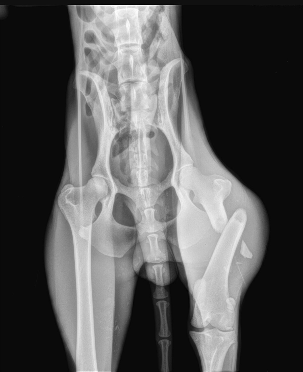
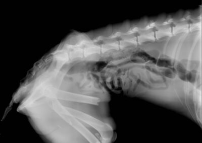
Marcus né ( 3 ans environ)  – 65 cm – Sociable  – Test à venir  – Fracture du fémur Postérieur gauche- Hôpital de la FBM

🖤 Marcus ,survivre, malgré tout….

Le regard de Marcus ne laisse personne indifférent… 😔
Ce galgo noir, au regard profondément touchant, porte en lui une histoire de souffrance mais aussi une force incroyable. Malgré tout ce qu’il a enduré, Marcus est affectueux, très gentil, et incroyablement reconnaissant envers ceux qui prennent soin de lui .

Marcus a été retrouvé errant dans un entrepôt, où il se trouvait depuis plusieurs jours… seul, affamé, et dans un état de maigreur extrême 💔. Pire encore, il souffrait d’une fracture de la patte arrière. Lorsque nous avons été alertés, une bénévole est immédiatement intervenue. Elle n’a eu aucune difficulté à l’attraper tant il était épuisé, affamé et en souffrance 😢.
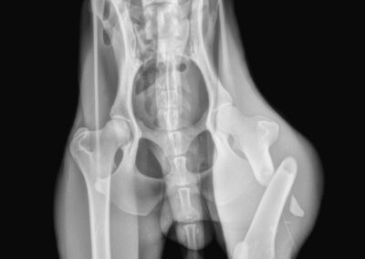
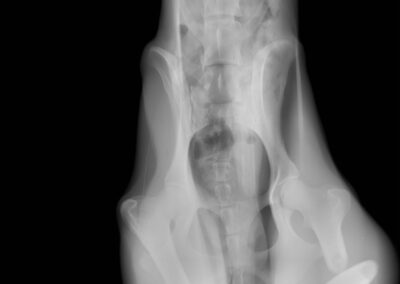
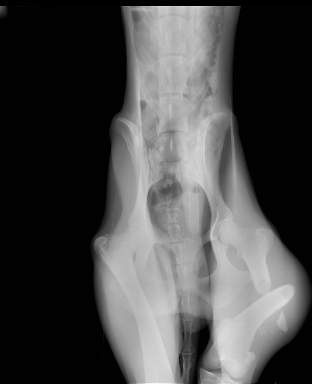
Marcus n’était plus qu’un véritable squelette, avec une fracture complexe du fémur au postérieur gauche. Il a dû vivre un véritable enfer, seul, blessé et affamé… 

Il a été opéré en urgence à la clinique du refuge de la FBM, où il est actuellement en convalescence 🩺. La clinique est aujourd’hui totalement saturée, faisant face chaque jour à l’arrivée de nouveaux cas lourds : fractures, blessures graves, chiens brisés par la maltraitance et l’abandon… 😞 Malgré cette situation extrêmement difficile, Marcus a pu être pris en charge et bénéficie désormais de tous les soins nécessaires.

Il s’entend très bien avec les autres chiens, c’est un galgo facile, doux, qui apprécie énormément l’attention humaine et les moments de calme à ses côtés 🐕. Sa résilience est tout simplement bouleversante : après tant de souffrances, il choisit encore la confiance et la gentillesse.

👉 Marcus aura besoin d’une famille avec un compagnon de vie canin, indispensable à son équilibre, ainsi que d’un jardin clos et sécurisé pour poursuivre sa récupération en douceur 🌿.

Si son regard vous touche et que vous souhaitez lui offrir la vie qu’il mérite enfin ❤️, merci de remplir le formulaire de demande d’adoption en ligne.
S’il est adopté, Marcus pourra remonter en France lors de notre prochain transport 🚐.

ℹ️ Infos pratiques

🎂 Âge : environ 3 ans
📏 Taille : 65 cm
🐱 Test chats : en cours

🙏 Offrir une famille à Marcus, c’est transformer une histoire de survie en une histoire d’amour et de reconstruction 

📞 Contact LSF : 06 60 15 37 50 (pas de SMS).
⚠️ L’adoption doit être un acte réfléchi. Merci de ne pas envoyer de demandes compulsives ou inadaptées au profil du chien présenté.

💶 Participation financière : 300 €
Ce montant correspond au remboursement partiel des frais vétérinaires (stérilisation, vaccination, identification, tests maladies méditerranéennes) et du transport Espagne/France. Les soins supplémentaires effectués au refuge sont pris en charge par l’association.

👉 Notre association ne fait aucun bénéfice sur ce montant : chaque euro contribue à sauver d’autres vies.

 
 

Laisser un commentaire

Votre adresse e-mail ne sera pas publiée. Les champs obligatoires sont indiqués avec *